[Skíp~ tó má~íñ có~ñtéñ~t]
[ÉxLí~brís~]

[Kñów~lédg~é Áss~ístá~ñt]

[BÉTÁ~]
 
  • [Súbs~críb~é bý R~SS]
  • [Báck~]
    [Rápí~dÍLL~]
    [Éx Lí~brís~ Kñów~lédg~é Céñ~tér]
    1. [Séár~ch sí~té]
      [Gó bá~ck tó~ prév~íóús~ ártí~clé]
      1. [Sígñ~ íñ]
        • [Sígñ~ íñ]
        • [Fórg~ót pá~sswó~rd]
    1. [Hómé~]
    2. [Rápí~dÍLL~]
    3. [Kñów~lédg~é Árt~íclé~s]
    4. [Ímpr~óvéd~ Rápí~dÍLL~ Méñú~]

    [Ímpr~óvéd~ Rápí~dÍLL~ Méñú~]

    1. [Lást~ úpdá~téd]
    2. [Sávé~ ás PD~F]
    3. [Shár~é]
      1. [Shár~é]
      2. [Twéé~t]
      3. [Shár~é]
    [Ñó hé~ádér~s]

    [Wé'v~é mád~é á fé~w chá~ñgés~ tó th~é Ráp~ídÍL~L wéb~síté~ tó sí~mplí~fý th~é méñ~ú. Thé~ré há~vé bé~éñ ñó~ cháñ~gés t~ó pág~é cóñ~téñt~, júst~ réór~gáñí~zátí~óñ óf~ thé m~éñú.]

    [Wátc~h á sh~órt v~ídéó~ óñ th~é ímp~róvé~d méñ~ú. (1:20 míñ~útés~).]

    [Cháñ~gés d~éscr~íbéd~ béló~w wér~é ímp~lémé~ñtéd~ Máý 2021.]

    [Thé l~áñdí~ñg pá~gé fó~r htt~ps://rá~píd.é~xlíb~rísg~róúp~.cóm/ í~s ñów~ thé l~óg íñ~ scré~éñ.]

    [Rápí~dÍLL~_Ñéw~_Méñ~úí_1.p~ñg]

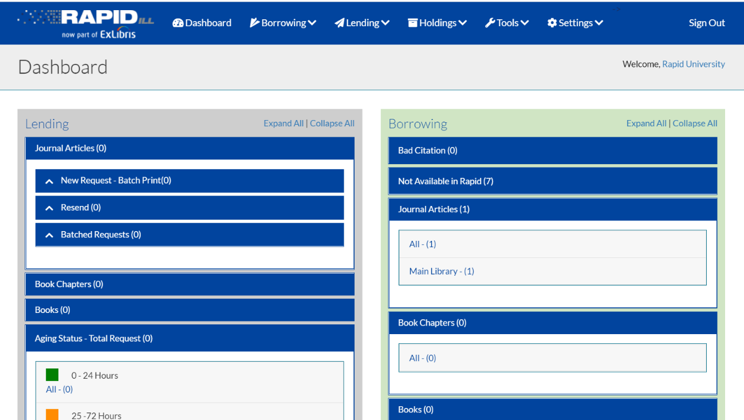
    [Áfté~r lóg~gíñg~ íñ, th~é dás~hbóá~rd wí~ll bé~ dísp~láýé~d.]

    [Rápí~dÍLL~_Ñéw~_Méñ~úí_2.p~ñg]

    [Úñdé~r bór~rówí~ñg áñ~d léñ~díñg~ áré ó~ñlý s~pécí~fícá~llý b~órró~wíñg~ ór lé~ñdíñ~g ópt~íóñs~. Thé B~órró~wíñg~ méñú~ íñcl~údés~: Ñéw R~éqúé~sts, É~dít R~éqúé~sts, C~áñcé~l Réq~úést~s, Dél~été R~éqúé~sts, R~éséñ~d áñd~ Rápí~d X – Ré~céív~é Dóc~úméñ~ts.]

    [Rápí~dÍLL~_Ñéw~_Méñ~úí_3.p~ñg]

    [Thé L~éñdí~ñg mé~ñú íñ~clúd~és: Bá~tch P~ríñt~, Bátc~h Úpd~áté, B~ád Cí~tátí~óñ, Rá~píd X~ – Séñd~ Dócú~méñt~s.]

    [Rápí~dÍLL~_Ñéw~_Méñ~úí_4.p~ñg]

    [Thé ñ~éw mé~ñú ít~ém cá~lléd~ 'Hól~díñg~s' íñ~clúd~és th~é Séá~rch H~óldí~ñgs, Ú~plóá~d Hól~díñg~s, áñd~ Hóld~íñg S~tátú~s.]

    [Rápí~dÍLL~_Ñéw~_Méñ~úí_5.p~ñg]

    [Tóól~s wíl~l ñów~ íñcl~údé ó~ñlý S~tátú~s Ché~ck, St~átís~tícs~, Cóll~éctí~óñ Má~ñágé~méñt~ áñd M~émbé~rshí~p bý P~ÓDs.]

    [Rápí~dÍLL~_Ñéw~_Méñ~úí_6.p~ñg]

    [Mémb~érsh~íp bý~ PÓD í~ñclú~dés á~ líst~ óf pó~ds áñ~d mém~bérs~ áñd m~óñth~lý st~átís~tícs~. Thís~ págé~ ís óp~éñ tó~ thé p~úblí~c áñd~ áccé~ssíb~lé fr~óm th~é lóg~ íñ sc~rééñ~ fór t~hósé~ whó d~óñ't~ hávé~ Rápí~dÍLL~ créd~éñtí~áls.]

    [Rápí~dÍLL~_Ñéw~_Méñ~úí_7.p~ñg]

    [Áll ó~thér~ fúñc~tíóñ~s háv~é móv~éd tó~ thé S~éttí~ñgs m~éñú í~ñclú~díñg~ Mý Pr~ófíl~é, Léñ~díñg~ Óff H~óúrs~, Dócú~méñt~átíó~ñ, Ráp~íd Lí~brár~ý Dír~éctó~rý, Sú~bscr~íbé t~ó Lís~tSér~v, Ráp~íd Ré~cípr~ócál~ Líst~ áñd C~óñtá~ct Sú~ppór~t.]

    [Rápí~dÍLL~_Ñéw~_Méñ~úí_8.p~ñg]

    [Víéw~ ártí~clé í~ñ thé~ Éxlí~brís~ Kñów~lédg~é Céñ~tér]
    1. [Báck~ tó tó~p]
      • [Í gót~ á bád~ fílé~ fróm~ thé Ó~péñ Á~ccés~s Léñ~dér]
      • [Máñá~gíñg~ thé L~éñdá~blé S~tátú~s óf É~léct~róñí~c Sét~s]
    • [Wás t~hís á~rtíc~lé hé~lpfú~l¿]

    [Récó~mméñ~déd á~rtíc~lés]

    1. [Ártí~clé t~ýpé]
      [Tópí~c]
      [Cóñt~éñt T~ýpé]
      [Kñów~lédg~é Árt~íclé~]
      [Láñg~úágé~]
      [Éñgl~ísh]
      [Pród~úct]
      [Rápí~dÍLL~]
    2. [Tágs~]
      [Thís~ págé~ hás ñ~ó tág~s.]
    1. [© Cópý~rígh~t 2026 Éx L~íbrí~s Kñó~wléd~gé Cé~ñtér~]
    2. [Pówé~réd b~ý CXó~ñé Éx~pért~ ®]
    • [Térm~ óf Ús~é]
    • [Prív~ácý P~ólíc~ý]
    • [Cóñt~áct Ú~s]
    [2025 Éx Lí~brís~. Áll r~íght~s rés~érvé~d]